Інвестиції у нові технології: стартап Farsight Vision отримав 7,2 млн євро
Стартап Farsight Vision, що базується в Україні, отримав 7,2 млн євро інвестицій від європейських інвесторів через платформу Brave1. Цю інформацію підтвердило Міністерство цифрової трансформації України.
Компанія, яка є частиною платформи Brave1, займається створенням інструментів на базі штучного інтелекту для розвідки, які використовуються в бойових умовах, дозволяючи військовим швидше приймати рішення.
Ця платформа аналізує дані з місцевості та в режимі реального часу надає операторам БПЛА та НРК актуальну інформацію про ситуацію на полі бою. Міністерство відзначає, що ця технологія є альтернативою супутниковій розвідці.
"Залучення інвестицій українськими стартапами від глобальних компаній є знаком довіри до наших технологій та підтверджує, що Україна встановлює нові стандарти сучасних військових дій", — зазначається у повідомленні.
За даними Мінцифри, отримані кошти Farsight Vision планує використовувати для розробки роботизованих рішень у сферах логістики, навігації та управління озброєнням, а також для посилення захисту на полі бою та критичної інфраструктури з використанням штучного інтелекту.
Крім того, команда планує об'єднати свої технології в єдину систему для підвищення автономності бойових безпілотників. Це рішення включатиме розвідку, визначення цілей з координатами, передачу цілей ударним дронам і навігацію на фінальному етапі польоту.
Згідно з даними Defender Media, лідерами інвестиційного раунду стали американська компанія Axon Enterprise та естонський державний фонд SmartCap Defence Fund. Також в угоді взяли участь польська компанія Radix Ventures, швейцарська Anker Capital та данська Final Frontier. Повторні інвестиції в стартап також здійснив естонський фонд Darkstar, один з перших інвесторів Farsight Vision.
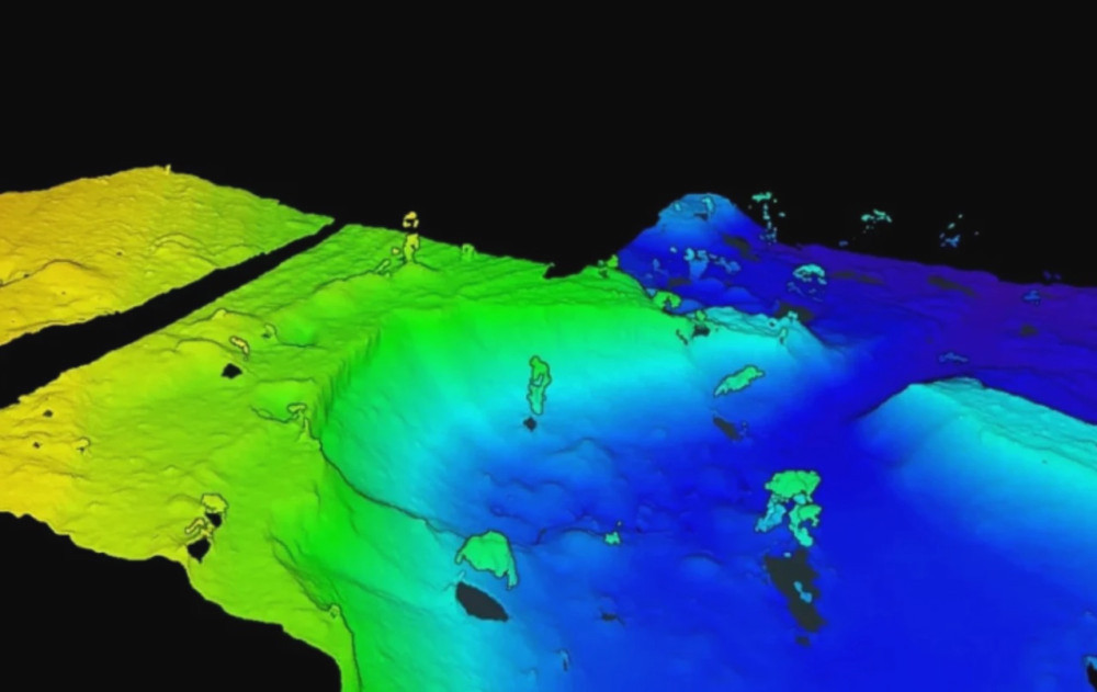
Рішення компанії дозволяють в режимі реального часу перетворювати зображення з дронів на 3D-моделі та ортофотоплани (точні, "вирівняні" аерофотознімки місцевості) з інтегрованим виявленням об'єктів і відстеженням аномалій, навіть в умовах відсутності GNSS, а також можуть бути інтегровані з системами управління боєм, мобільними додатками, симуляторами та VR-інструментами.


